Na Jamaica, o furacão chegou à categoria 5, com ventos chegando a 290 km/h; meteorologistas do Centro Nacional de Furacões preveem chuvas fortes e deslizamentos
Da redação, com Reuters

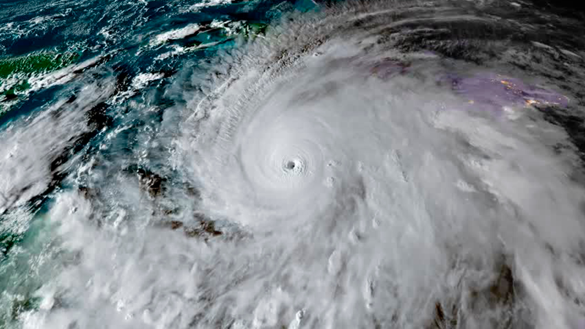
Furacão Melissa de categoria 5 ameaça Jamaica e Cuba / Foto: Reprodução Reuters
Imagens de satélite divulgadas nesta terça-feira, 28, mostram que o furacão Melissa atingiu a categoria 5, com velocidades que podem chegar 290 km/h, próximo ao Caribe e da Jamaica.
A tempestade de categoria 5, a mais forte possível na escala Saffir-Simpson, está a cerca de 420 km a sudoeste de Guantánamo, Cuba, de acordo com o Centro Nacional de Furacões.
Marés de tempestade de até quatro metros são esperadas, segundo informou Anne-Claire Fontan, especialista em ciclones tropicais da Organização Meteorológica Mundial, em uma coletiva de imprensa em Genebra, com chuvas previstas para ultrapassar 70 cm, causando “inundações repentinas e deslizamentos de terra catastróficos”, disse ela.
O Centro Nacional de Furacões dos Estados Unidos (NHC, na sigla em inglês) prevê que a tempestade atinja a Jamaica na manhã de terça-feira e, em seguida, atravesse o leste de Cuba para se deslocar sobre as Bahamas e as Ilhas Turcas e Caicos até quarta-feira, 29.

Melissa em Cuba
Fortes ondas atingiram a costa sudeste de Cuba na manhã desta terça-feira, 28, antes da chegada do furacão Melissa.
Em Santiago de Cuba, a segunda maior cidade do país está na trajetória do furacão, as palmeiras se curvaram com o aumento dos ventos enquanto os moradores se preparavam para o que as autoridades alertam ser um golpe devastador.
As autoridades cubanas evacuaram mais de 500 mil pessoas de áreas costeiras e montanhosas vulneráveis a ventos fortes e inundações. Mais de 250.000 pessoas foram levadas para abrigos somente ao redor de Santiago de Cuba, enquanto o governo cancelava as aulas e o transporte em todo o leste de Cuba.
Ao longo da costa, o morador Reinaldo Montoya não quis correr riscos, levando seus pertences para áreas mais altas e abrigando suas galinhas em ambientes fechados.
